Acquisto Assistito in Asta e Pre-Asta

In vendita
Appartamento
Mogliano Veneto
84.375 €
Descrizione
Acquisto Assistito in Asta Giudiziaria
Per maggiori proposte visita il sito dell’agenzia: www.asteagency.com

Verifica fattibilità d’acquisto in PRE-ASTA

DATA ASTA : 26/05/26

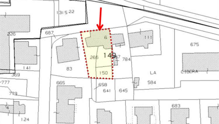
UBICAZIONE E DESCRIZIONE:
Via Zero Branco, Frazione Campocroce, Mogliano Veneto TV

Descrizione sintetica: Fabbricato di abitazione, composto da due unità catastali A/3 sviluppate su più livelli con corte esclusiva di mq 466,00. Si compone dii portico, ingresso, cucina, soggiorno, ripostiglio e corte al piano terra. Quattro camere, bagno, disimpegno e ripostiglio al piano primo. Sottotetto al piano superiore.

Aste Agency SRL offre il servizio di assistenza per acquistare tramite un mutuo con banche convenzionate. Assiste ed indirizza, dall’aggiudicazione fino alla consegna delle chiavi.

PERCHE’ COMPRARE ALL’ASTA:
- Acquisto sicuro tramite Tribunale;
- Prezzo inferiore rispetto al mercato libero, quindi rata del mutuo più bassa;
- Banche convenzionate con i Tribunali;
- Nessun vincolo di prezzo nella rivendita e nella locazione.

Le Aste Giudiziarie sono soluzioni abitative a prezzi unici, in quanto si compera ad un prezzo inferiore, paragonato alla realtà proibitiva del mercato libero, e l’investimento immobiliare risulta essere sicuramente conveniente.
Per maggiori delucidazioni vi invitiamo a contattarci. Sarà nostra premura fissare un appuntamento in studio e trasferirvi tutte le informazioni necessarie per un’attenta e serena valutazione.

ASTE AGENCY SRL – Contattateci per un appuntamento presso uno dei nostri uffici o in videochiamata.
Caratteristiche principali
Codice:
275.21.7.260526.TV
Città:
Mogliano Veneto
Categoria:
Appartamento
Locali:
6
Camere:
4
Bagni:
2
Mq:
366
Mq Giardino:
466
Piano:
Terra
Anno:
1967
Classe energetica:
G
Stato Immobile:
Da Ristrutturare
Grado:
Medio
Tipo Cucina:
Abitabile
Riscaldamento:
No
Accesso Disabili:
No
Mappa
Via zero branco, - Mogliano Veneto (TV)
Richiedi informazioni
Invia
Cookie preference