Acquisto Assistito - in Asta e Pre-Asta

In vendita
Villa Bifamiliare
Paderno Dugnano
241.594 €
Descrizione
Acquisto Assistito - in Asta e Pre-Asta
Per maggiori proposte visita il sito dell’agenzia: www.asteagency.com

Verifica fattibilità d’acquisto in PRE-ASTA

DATA ASTA: 06/02/2026

Disponibilità: Libero al Decreto di Trasferimento
UBICAZIONE E DESCRIZIONE:
Via M. Callas7 - Paderno Dugnano (MI)
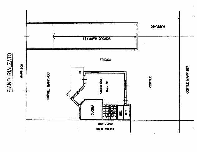
Descrizione sintetica: villa bifamiliare composta da soggiorno, cucina e bagno al piano rialzato oltre a portico di mq 18,00, tre camere, due bagni e due balconcini al primo piano di mq 17,00, sottotetto e cantina attrezzata con cucina e lavanderia di mq 49,00. Box auto doppio di mq 41,00, giardino di mq 247,00.

Aste Agency SRL offre il servizio di assistenza per acquistare tramite un mutuo con banche convenzionate. Assiste ed indirizza, dall’aggiudicazione fino alla consegna delle chiavi.

PERCHE’ COMPRARE ALL’ASTA:
- Acquisto sicuro tramite Tribunale;
- Prezzo inferiore rispetto al mercato libero, quindi rata del mutuo più bassa;
- Banche convenzionate con i Tribunali;
- Nessun vincolo di prezzo nella rivendita e nella locazione.

Le Aste Giudiziarie sono soluzioni abitative a prezzi unici, in quanto si compera ad un prezzo inferiore, paragonato alla realtà proibitiva del mercato libero, e l’investimento immobiliare risulta essere sicuramente conveniente.
Per maggiori delucidazioni vi invitiamo a contattarci. Sarà nostra premura fissare un appuntamento in studio e trasferirvi tutte le informazioni necessarie per un’attenta e serena valutazione.

ASTE AGENCY SRL – Contattateci per un appuntamento presso uno dei nostri uffici o in videochiamata.
Caratteristiche principali
Codice:
375.23.1.060226.MI
Città:
Paderno Dugnano
Categoria:
Villa Bifamiliare
Locali:
6
Camere:
4
Bagni:
3
Mq:
194,47
Box:
2
Balconi:
2
Piano:
Terra
Anno:
1999
Classe energetica:
F
Stato Immobile:
Buono
Grado:
Medio
Arredi:
Non Arredato
Tipo Cucina:
Abitabile
Riscaldamento:
Autonomo
Fonte Energetica:
Metano
Accesso Disabili:
No
Mappa
Via M. Callas , 7 - Paderno Dugnano (MI)
Virtual tour
Richiedi informazioni
Invia
Cookie preference