Acquisto Assistito - in Asta e Pre-Asta

In vendita
Laboratorio
Ariano nel Polesine (Crociara)
15.600 €
Descrizione
Per maggiori proposte visita il sito dell’agenzia: www.asteagency.com

Verifica fattibilità d’acquisto in PRE-ASTA

DATA ASTA: 12/03/26

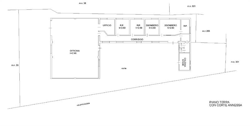
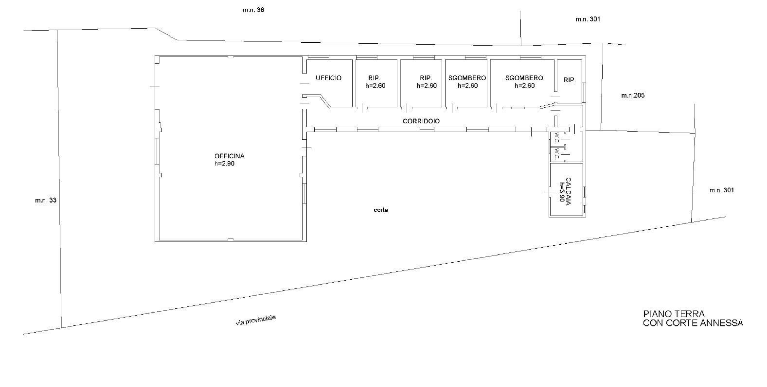
UBICAZIONE E DESCRIZIONE:
Loc. Crociara, Via Provinciale, 14 – 45012 Ariano nel Polesine (RO)
Descrizione sintetica:Trattasi di laboratorio con annessa area cortiliva, composto da: officina, corridoio, ufficio, tre ripostigli, due locali di sgombero, disimpegno, wc, caldaia. Posto al piano terra, sviluppa una superficie lorda complessiva di circa mq 307,00.



Aste Agency SRL offre il servizio di assistenza per acquistare tramite un mutuo con banche convenzionate. Assiste ed indirizza, dall’aggiudicazione fino alla consegna delle chiavi.

PERCHE’ COMPRARE ALL’ASTA:
- Acquisto sicuro tramite Tribunale;
- Prezzo inferiore rispetto al mercato libero, quindi rata del mutuo più bassa;
- Banche convenzionate con i Tribunali;
- Nessun vincolo di prezzo nella rivendita e nella locazione.

Le Aste Giudiziarie sono soluzioni abitative a prezzi unici, in quanto si compera ad un prezzo inferiore, paragonato alla realtà proibitiva del mercato libero, e l’investimento immobiliare risulta essere sicuramente conveniente.
Per maggiori delucidazioni vi invitiamo a contattarci. Sarà nostra premura fissare un appuntamento in studio e trasferirvi tutte le informazioni necessarie per un’attenta e serena valutazione.

ASTE AGENCY SRL – Contattateci per un appuntamento presso uno dei nostri uffici o in videochiamata.
Caratteristiche principali
Codice:
182.24.2.120326.RO
Città:
Ariano nel Polesine (Crociara)
Categoria:
Laboratorio
Locali:
3
Bagni:
2
Mq:
307
Piano:
Terra
Anno:
1967
Classe energetica:
G
Stato Immobile:
Buono
Grado:
Signorile
Riscaldamento:
Autonomo
Fonte Energetica:
Gas
Accesso Disabili:
Nessuna Barriera
Mappa
via provinciale, 14 - Ariano nel Polesine (RO)
Richiedi informazioni
Invia
Cookie preference