Acquisto Assistito in Asta e Pre-Asta

In vendita
Appartamento
Tuglie
38.298 €
Descrizione
Acquisto Assistito in Asta e Pre-Asta
Per maggiori proposte visita il sito dell’agenzia: www.asteagency.com

Verifica fattibilità d’acquisto in PRE-ASTA

DATA ASTA: 24/03/2026

UBICAZIONE E DESCRIZIONE:
Via Genova n. 40, 73058 Tuglie Lecce

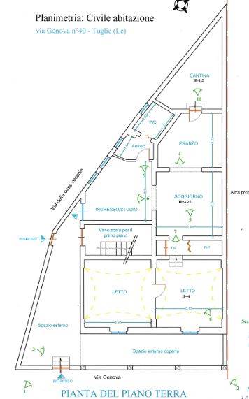
Descrizione sintetica: Appartamento al piano terra composto da ingresso anche con funzione di vano-studio, da un vano soggiorno, da una cucina con caminetto ad angolo e mediante un piccolo disimpegno con ripostiglio, si ha poi accesso alle due camere da letto non disimpegnate tra loro. L’unità si completa con un servizio igienico con antibagno posto a ridosso dell’ingresso e da un vano adibito a cantina, che risulta ad un livello ribassato rispetto al piano dell’abitazione, con accesso dalla cucina. Scoperto di pertinenza di mq 42,00.

Aste Agency SRL offre il servizio di assistenza per acquistare tramite un mutuo con banche convenzionate. Assiste ed indirizza, dall’aggiudicazione fino alla consegna delle chiavi.

PERCHE’ COMPRARE ALL’ASTA:
- Acquisto sicuro tramite Tribunale;
- Prezzo inferiore rispetto al mercato libero, quindi rata del mutuo più bassa;
- Banche convenzionate con i Tribunali;
- Nessun vincolo di prezzo nella rivendita e nella locazione.

Le Aste Giudiziarie sono soluzioni abitative a prezzi unici, in quanto si compera ad un prezzo inferiore, paragonato alla realtà proibitiva del mercato libero, e l’investimento immobiliare risulta essere sicuramente conveniente.
Per maggiori delucidazioni vi invitiamo a contattarci. Sarà nostra premura fissare un appuntamento in studio e trasferirvi tutte le informazioni necessarie per un’attenta e serena valutazione.

ASTE AGENCY SRL – Contattateci per un appuntamento presso uno dei nostri uffici o in videochiamata.
Caratteristiche principali
Codice:
17.22.240326.LE
Città:
Tuglie
Categoria:
Appartamento
Locali:
5
Camere:
2
Bagni:
1
Mq:
132
Piano:
Terra
Anno:
1967
Classe energetica:
G
Stato Immobile:
Buono
Grado:
Medio
Tipo Cucina:
Abitabile
Riscaldamento:
Autonomo
Tipo Impianto:
Radiatori
Fonte Energetica:
Metano
Accesso Disabili:
No
Mappa
Via genova, 40 - Tuglie (LE)
Planimetrie
Richiedi informazioni
Invia
Cookie preference